Skip to content
  • صفحہ اوّل
  • پاکستان
  • بین الاقوامی
  • کاروبار
  • کھیل
  • صحت
  • شوبز
  • دلچسپ و عجیب
  • ٹیکنالوجی
  • جرائم
  • کالم
  • اداریہ
اہم خبریں
ایپل نے 15 مشہور ڈیوائسز بند کر دیے اینڈرائیڈ فونز کے 4 فیچرز جن کو ڈس ایبل کرکے آپ بیٹری لائف بہتر بنا سکتے ہیں ایپل کا نیا سرپرائز: آئی فون 17 ای متعارف اینڈرائیڈ فون کی بیٹری لائف بڑھانے کے آسان طریقے شاؤمی 17 سیریز متعارف، پروفیشنل کیمرہ اور طویل بیٹری لائف کے ساتھ مفت آن لائن ٹیکنالوجی کورسز کا آغاز: کورسز میں حصہ لینے کی آخری تاریخ 8 مارچ 2026 مقرر کم بجٹ صارفین کے لیے آئی فون کا نیا جدید فون متعارف اے آئی سے برطانیہ میں 75 فیصد نوکریاں متاثر ہونے کا خدشہ میٹا اور اے ایم ڈی کے درمیان 100 ارب ڈالر کا تاریخی معاہدہ سال 2026 کا سب سے کم قیمت آئی فون 4 مارچ کو متعارف کرایا جائے گا

ٹیکنالوجی

کاربن ڈائی آکسائیڈ گیس کو مائع ایندھن بنانے والی ٹیکنالوجی

11  ستمبر 201911  ستمبر 2019 ویب ڈیسک 188 مناظر

بھارت کے ناکام خلائی مشن کی باقیات کہاں گئیں؟

09  ستمبر 201909  ستمبر 2019 ویب ڈیسک 182 مناظر

اپنی ضرورت سے دگنی بجلی بنانے والی ماحول دوست عمارت

09  ستمبر 201909  ستمبر 2019 ویب ڈیسک 227 مناظر

نوکیا کے 2 مڈرینج سمارٹ فونز متعارف

08  ستمبر 201908  ستمبر 2019 ویب ڈیسک 134 مناظر

دیواروں پر چڑھنے کے قابل ’’جونک روبوٹ‘‘ بنالیا گیا

04  ستمبر 201904  ستمبر 2019 ویب ڈیسک 200 مناظر

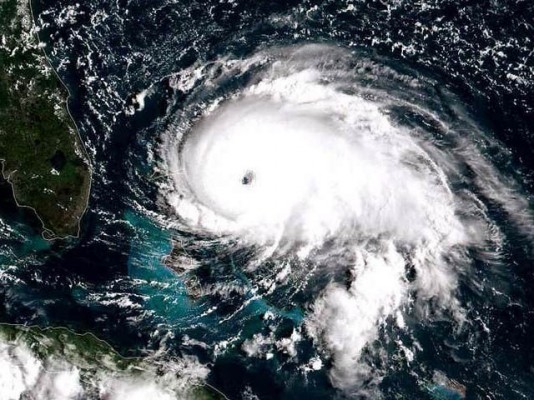
انسانی تاریخ میں خشکی سے ٹکرانے والا سب سے طاقتور طوفان

03  ستمبر 201903  ستمبر 2019 ویب ڈیسک 106 مناظر

فیس بک کا اپنا مقبول ترین فیچر ختم کرنے کا فیصلہ

02  ستمبر 201902  ستمبر 2019 ویب ڈیسک 153 مناظر

روبوٹ پائلٹ کو طیارے پر کنٹرول کا پہلا لائسنس مل گیا

02  ستمبر 201902  ستمبر 2019 ویب ڈیسک 106 مناظر

پھلوں، سبزیوں اور کپڑوں کو جراثیم سے پاک کرنے والا آلہ تیار

01  ستمبر 201901  ستمبر 2019 ویب ڈیسک 217 مناظر

چینی مرکزی بینک بھی کرپٹو کرنسی جاری کرنے کےلیے تیار

31  اگست 201931  اگست 2019 ویب ڈیسک 173 مناظر

مریخ کےلیے ’’خلائی ٹڈے‘‘ کی کامیاب آزمائشی پرواز

29  اگست 201929  اگست 2019 ویب ڈیسک 169 مناظر

پانی میں نورو وائرس شناخت کرنے والی اسمارٹ فون ایپ ​​​​​​​

28  اگست 201928  اگست 2019 ویب ڈیسک 118 مناظر
  • ‹ First
  • Previous
  • 130
  • 131
  • 132
  • 133
  • 134
  • Next
  • Last ›

اہم کیٹا گریز

پاکستان بین الاقوامی کاروبار کھیل صحت شوبز دلچسپ و عجیب ٹیکنالوجی جرائم کالم اداریہ

ہم سے رابطہ کے ذرائعے

  • ہمارا فیس بک پیج
  • ہماری ٹویٹر پروفائل
  • ہماری انسٹاگرام پروفائل

ہمارا نیٹ ورک

  • قرآن پاک آن لائن سنیں

اہم صفحات

Copyright © 2026, Khouji News

اگر آپ کو کسی مخصوص خبر کی تلاش ہے تو یہاں نیچے دئے گئے باکس کی مدد سے تلاش کریں